Digitales Bauschild zum
Wohngebiet »Auf Ahlsheck«

56761 Düngenheim

Informationen zur Vergabe

Hinweise zur Vergabe sind in den Allgemeinen Verkaufsbedingungen unter "Dokumente" zu finden.

Das Baugebiet im Überblick

Bauplätze gesamt

21

Freie Bauplätze

21

kleinster freier Bauplatz

693,00 m²

größter freier Bauplatz

948,00 m²

Foto des Baugebiets

Foto des Baugebiets

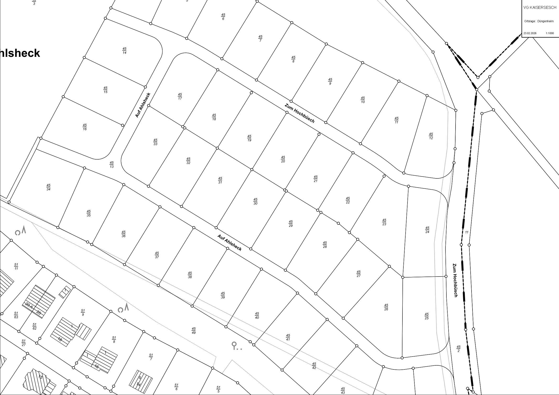
Die Bauplätze im Baugebiet in der Übersicht


Nr. Größe [m²] Preis [€/m²] Gesamtpreis [€] Nutzung GRZ GFZ Status Infos Exposé Anfrage
Flur 4 Nr. 45/17 736,00 88,00 64.768,00 WA 0,30 0,60 frei Info Exposé Anfrage stellen »
Flur 4 Nr. 45/18 726,00 88,00 63.888,00 WA 0,30 0,60 frei Info Exposé Anfrage stellen »
Flur 4 Nr. 45/19 728,00 88,00 64.064,00 WA 0,30 0,60 frei Info Exposé Anfrage stellen »
Flur 4 Nr. 45/20 696,00 88,00 61.248,00 WA 0,30 0,60 frei Info Exposé Anfrage stellen »
Flur 4 Nr. 45/21 697,00 88,00 61.336,00 WA 0,30 0,60 frei Info Exposé Anfrage stellen »
Flur 4 Nr. 45/22 700,00 88,00 61.600,00 WA 0,30 0,60 frei Info Exposé Anfrage stellen »
Flur 4 Nr. 45/24 948,00 88,00 83.424,00 WA 0,30 0,60 frei Info Exposé Anfrage stellen »
Flur 4 Nr. 45/25 928,00 88,00 81.664,00 WA 0,30 0,60 frei Info Exposé Anfrage stellen »
Flur 4 Nr. 45/26 871,00 88,00 76.648,00 WA 0,30 0,60 frei Info Exposé Anfrage stellen »
Flur 4 Nr. 45/27 722,00 88,00 63.536,00 WA 0,30 0,60 frei Info Exposé Anfrage stellen »
Flur 4 Nr. 45/28 766,00 88,00 67.408,00 WA 0,30 0,60 frei Info Exposé Anfrage stellen »
Flur 4 Nr. 45/29 738,00 88,00 64.944,00 WA 0,30 0,60 frei Info Exposé Anfrage stellen »
Flur 4 Nr. 45/30 739,00 88,00 65.032,00 WA 0,30 0,60 frei Info Exposé Anfrage stellen »
Flur 4 Nr. 45/31 742,00 88,00 65.296,00 WA 0,30 0,60 frei Info Exposé Anfrage stellen »
Flur 4 Nr. 45/32 706,00 88,00 62.128,00 WA 0,30 0,60 frei Info Exposé Anfrage stellen »
Flur 4 Nr. 45/33 729,00 88,00 64.152,00 WA 0,30 0,60 frei Info Exposé Anfrage stellen »
Flur 4 Nr. 45/35 718,00 88,00 63.184,00 WA 0,30 0,60 frei Info Exposé Anfrage stellen »
Flur 4 Nr. 45/39 718,00 88,00 63.184,00 WA 0,30 0,60 frei Info Exposé Anfrage stellen »
Flur 4 Nr. 45/40 693,00 88,00 60.984,00 WA 0,30 0,60 frei Info Exposé Anfrage stellen »
Flur 4 Nr. 45/41 702,00 88,00 61.776,00 WA 0,30 0,60 frei Info Exposé Anfrage stellen »
Flur 4 Nr. 45/42 702,00 88,00 61.776,00 WA 0,30 0,60 frei Info Exposé Anfrage stellen »

Über Düngenheim

Düngenheim ist landschaftlich reizvoll gelegen, zwischen Mosel und Vulkaneifel, mit herrlichem Blick auf den Hunsrück und das Neuwieder Becken.

1097 wurde Düngenheim erstmalig in einer Schenkungsurkunde des Erzbischofs von Trier erwähnt. In früheren Jahren war der Ort vom Schieferbergbau und der Landwirtschaft geprägt. Der erste Schiefer wurde von den Düngenheimern in einem Seitental der Elz gebrochen. In der Blütezeit des Schieferabbaus boten 9 Gruben in der Gemarkung Düngenheim Lohn und Brot für die Einheimischen. Mit Stilllegung der Grube Antonius im Jahr 1928 wurde der Schieferabbau nach etlichen Höhen und Tiefen endgültig eingestellt.

Mit rund 1.400 Einwohnern ist Düngenheim die zweitgrößte Gemeinde in der Verbandsgemeinde Kaisersesch und zählt zu den 10 größten Ortsgemeinden im Landkreis Cochem-Zell. Ein breit aufgestelltes Spektrum an Handwerks- und Gewerbebetrieben, mehrere landwirtschaftliche Haupterwerbsbetriebe sowie eine Gaststätte bilden die Basis für eine gesunde Infrastruktur. Im Ort selbst gibt es des Weiteren die Kindertagesstätte „Arche Noah“ und das Senioren Domizil Eifel, wo rund 50 Personen ihren Lebensabend verbringen können. Eine Besonderheit stellt das gleichfalls zum Ort gehörende Bildungsund Pflegeheim St. Martin dar. Weit und breit zählt es zu den größten Behindertenpflegeeinrichtungen für Kinder und Erwachse. Zu St. Martin gehören eine Sonderschule, ein integrativer Ganztagskindergarten, eine integrative Grundschule sowie ein Alten- und Pflegeheim. Mit rund 450 Beschäftigten ist St. Martin der größte Arbeitgeber in der Region. Die Einrichtung verfügt über ein Hallenbad „Zeno-Bad“, das auch von der Öffentlichkeit genutzt werden kann. Dorfgemeinschaft wird in der lebendigen Ortsgemeinde großgeschrieben. Die vielen Vereine und Veranstaltungen fördern die für jedermann so wichtigen sozialen Kontakte. Wer Natur pur erleben möchte, findet rund um Düngenheim ausreichende Möglichkeiten zum Wandern, Radfahren oder ganz einfach zum Relaxen.

Lagekarte

Anbieter dieses Objekts

Verbandsgemeinde Kaisersesch

Ansprechpartner
Ortsgemeinde Düngenheim
Herr Mike Kaiser


Rückrufwunsch

Impressum des Anbieters

Objektanfrage

Bitte fülle das untenstehende Kontaktformular aus, um mit dem Anbieter in Kontakt zu treten.

Die mit * gekennzeichneten Felder sind vom Anbieter als Pflichtfelder vorgegeben.

Dein Anliegen

Anrede:     

Deine Nachricht an den Anbieter

Mit Absenden des Kontaktformulars werden Ihre personenbezogenen Daten auf elektronischem Weg an den Anbieter der Immobilie übermittelt. Gleichzeitig stimmen Sie zu, dass diese vom Anbieter zur Beantwortung Ihrer Anfrage erhoben und verarbeitet werden dürfen. Weitere Informationen zum Datenschutz »

Günstige Angebote für Dein neues Grundstück


Alle Angaben ohne Gewähr.