Digitales Bauschild zum
Wohngebiet »"Lehr"«

55624 Bollenbach

Beschreibung des Baugebiets

Neubaugebiet "Lehr"
Bollenbach ist eine kleine Gemeinde (146 Einwohner) südlich von Rhaunen. Das Baugebiet liegt am nordwestlichen Ortsrand.

Das Baugebiet im Überblick

Bauplätze gesamt

5

Freie Bauplätze

5

kleinster freier Bauplatz

842,00 m²

größter freier Bauplatz

961,00 m²

Dokumente zum Objekt

Foto des Baugebiets

Foto des Baugebiets

picture

picture

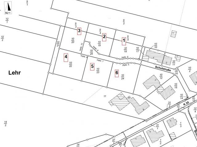
Die Bauplätze im Baugebiet in der Übersicht


Nr. Größe [m²] Preis [€/m²] Gesamtpreis [€] Nutzung GRZ GFZ Status Infos Exposé Anfrage
2 843,00 70,00 59.010,00 WA 0,40 0,70 frei Info Exposé Anfrage stellen »
3 890,00 70,00 62.300,00 WA 0,40 0,70 frei Info Exposé Anfrage stellen »
4 961,00 70,00 67.270,00 WA 0,40 0,70 frei Info Exposé Anfrage stellen »
5 842,00 70,00 58.940,00 WA 0,40 0,70 frei Info Exposé Anfrage stellen »
6 950,00 70,00 66.500,00 WA 0,40 0,70 frei Info Exposé Anfrage stellen »

Über Bollenbach

Bollenbach bestand im Mittelalter aus zwei Teilen, dem Hochgericht und dem Ingericht, die zu den verschiedenen Herrschaftsbereichen Schmidtburg und Wildenburg gehörten. Die "Grenze" zwischen beiden Teilen ist kurioserweise bis heute als ein unbebauter Streifen in der Dorfmitte sichtbar. Wichtige Erwerbsquelle der Einwohner war neben kleinbäuerlich betriebener Landwirtschaft noch bis in die 60er Jahre des 20. Jahrhunderts der Schieferbergbau in sechs Gruben.

Ortsbildprägende Gebäude sind die mittelalterliche Zehntscheune, das 1719 erbaute Dorfkirchlein und der Fachwerkbau (1926) einer der ersten elektrischen Getreidemühlen des gesamten Hunsrücks, die bis heute noch betriebsfähig ist. Vor der Mühle laden Tisch und Bänke zur Rast und zum Betrachten der dörflichen Idylle ein.

Auf der Bollenbacher Gemarkung liegen mehrere Wüstungen als spärliche Überreste von Dörfern, die im 30jährigen Krieg durch Massaker oder die Pest entvölkert und nicht wieder besiedelt wurden.

Besonders deutliche Fundamentrelikte solcher einstigen Gehöfte sind noch beim Naturdenkmal der Dicken Eiche am historischen Weg nach Rudolfshaus und Wickenrodt vorhanden. Und weil die Zeit alle Wunden heilt, findet niemand etwas dabei, dass die Bollenbacher an der ehedem tragisch umwitterten Stelle heutzutage Grillfeste feiern.

Lagekarte

Anbieter dieses Objekts

Nationalparkverbandsgemeinde Herrstein-Rhaunen

Ansprechpartner
Verbandsgemeindeverwaltung Herrstein-Rhaunen
Frau Heike Bohrer


Telefon zeigen

Rückrufwunsch

Impressum des Anbieters

Objektanfrage

Bitte fülle das untenstehende Kontaktformular aus, um mit dem Anbieter in Kontakt zu treten.

Die mit * gekennzeichneten Felder sind vom Anbieter als Pflichtfelder vorgegeben.

Dein Anliegen

Anrede:     

Deine Nachricht an den Anbieter

Mit Absenden des Kontaktformulars werden Ihre personenbezogenen Daten auf elektronischem Weg an den Anbieter der Immobilie übermittelt. Gleichzeitig stimmen Sie zu, dass diese vom Anbieter zur Beantwortung Ihrer Anfrage erhoben und verarbeitet werden dürfen. Weitere Informationen zum Datenschutz »

Günstige Angebote für Dein neues Grundstück


Alle Angaben ohne Gewähr.